Yếu tố khiến siêu bão Sinlaku trở nên nguy hiểm
Ngày 13/4, siêu bão Sinlaku trở thành tâm điểm chú ý của giới khí tượng khi nhanh chóng mạnh lên mức cực đại và đe dọa khu vực Tây Thái Bình Dương, đặc biệt là đảo Guam và Bắc Mariana, thuộc quần đảo Mariana của Mỹ,
Các nhà khí tượng nhận định Sinlaku là cơn bão "đặc biệt nguy hiểm" do sự kết hợp của nhiều yếu tố bao gồm cường độ tăng tốc bất thường, quy mô ảnh hưởng rộng và những rủi ro thiên tai đi kèm vượt xa sức gió đơn thuần.

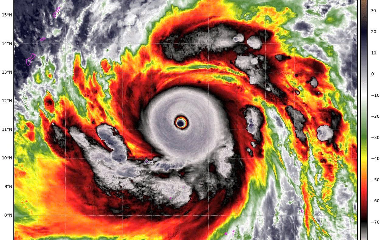
Hình ảnh mắt bão Sinlaku.
Sinlaku hình thành từ một vùng nhiễu động trên khu vực Micronesia trước khi nhanh chóng phát triển thành bão nhiệt đới, rồi bão cuồng phong chỉ trong vài ngày. Điều khiến các chuyên gia lo ngại không chỉ là việc nó mạnh lên, mà là tốc độ mạnh lên cực nhanh, hiện tượng ngày càng phổ biến nhưng vẫn rất khó dự báo chính xác.
Theo Trung tâm Cảnh báo Bão Liên hợp (JTWC), Sinlaku đã nhanh chóng đạt đến trạng thái siêu bão với sức gió duy trì lên tới 290 km/h và những cơn gió giật thậm chí còn vượt xa mốc 320 km/h vào cuối tuần trước.
Nếu đặt trong hệ quy chiếu Đại Tây Dương, cơn bão này tương đương bão cấp 4, thậm chí tiệm cận cấp 5, mức có khả năng gây thiệt hại thảm khốc cho cơ sở hạ tầng, nhà cửa và hệ thống điện.
Một yếu tố khác khiến Sinlaku trở nên nguy hiểm hơn là cấu trúc trưởng thành hoàn chỉnh của nó. Theo các nhà dự báo, đây là kiểu bão có tâm rõ ràng, đối lưu mạnh và vòng mây dày đặc, dấu hiệu của một hệ thống cực kỳ ổn định và khó suy yếu trong ngắn hạn. Khi đạt đến trạng thái này, bão có thể duy trì cường độ cao trong thời gian dài, làm tăng đáng kể mức độ tàn phá.
Không chỉ mạnh ở tâm bão, phạm vi ảnh hưởng của Sinlaku cũng rất rộng. Gió cấp bão (trên 119 km/h) có thể lan ra khoảng 100 km từ tâm, trong khi gió cấp nhiệt đới (từ 63-118 km/h) có thể mở rộng tới hơn 300-400 km. Điều này đồng nghĩa với việc ngay cả những khu vực không nằm trên đường đi trực tiếp như Guam vẫn có thể chịu ảnh hưởng kéo dài hàng chục giờ với gió mạnh và mưa lớn.
Ngoài ra, việc Sinlaku xuất hiện vào tháng 4, ngoài mùa cao điểm bão (thường từ tháng 6-11), cũng là một dấu hiệu bất thường. Những cơn bão trái mùa thường khó dự báo hơn do điều kiện khí quyển không ổn định, khiến công tác chuẩn bị và ứng phó trở nên phức tạp.
Dù tâm bão có khả năng sẽ đi chệch lên phía Bắc (hướng về phía Saipan và Tinian) thay vì đổ bộ trực tiếp vào đảo Guam, các chuyên gia cảnh báo rằng bán kính nguy hiểm của Sinlaku là rất rộng lớn, có thể kéo theo chuỗi rủi ro đi kèm, bao gồm mưa lớn, sóng biển, nước dâng và thời gian ảnh hưởng kéo dài.
Bão Sinlaku có ảnh hưởng đến Việt Nam?
Theo Trung tâm Dự báo Khí tượng Thủy văn Quốc gia, phân tích từ số liệu vệ tinh, bão Sinlaku đang trong quá trình tăng cường độ nhanh, mắt bão rõ nét, vùng mây đối lưu phát triển mạnh và hoàn lưu đối xứng.
Các điều kiện môi trường trên vùng biển thuận lợi như nhiệt độ mặt nước biển cao, thông lượng nhiệt từ đại dương dồi dào, độ đứt gió tầng cao yếu, tạo điều kiện để bão tiếp tục mạnh lên nhanh.
Siêu bão Sinlaku sau khi đi theo hướng Tây Bắc sẽ dần chuyển hướng lên phía Bắc, sau đó có khả năng đổi hướng sang Bắc Đông Bắc, tiến về vùng biển phía đông Nhật Bản và suy yếu dần.
Bão Sinlaku là cơn bão đầu tiên trong năm 2026 đạt cấp siêu bão và hiện là cơn bão mạnh nhất thế giới tính từ đầu năm đến nay.
Đáng chú ý, đây cũng là lần thứ ba kể từ năm 1977 xuất hiện siêu bão trong tháng 4, sau trường hợp siêu bão Surigae năm 2021. Với sức gió lên tới trên 200km/h, siêu bão Sinlaku được đánh giá có sức tàn phá rất lớn, gây sóng biển dữ dội, có thể đe dọa an toàn của các tàu thuyền trọng tải lớn hoạt động trên biển.
Theo dự báo của cơ quan khí tượng, từ tháng 4 - 6, bão hoặc áp thấp nhiệt đới hoạt động trên khu vực Biển Đông và ảnh hưởng trực tiếp đến đất liền tương đương trung bình nhiều năm (trung bình nhiều năm trên Biển Đông 1,8 cơn, đổ bộ vào đất liền 0,3 cơn).
Trong 3 tháng tiếp theo (tháng 7 - 9), hoạt động của bão hoặc áp thấp nhiệt đới trên Biển Đông và đổ bộ vào đất liền nước ta cũng ở mức tương đương trung bình nhiều năm với 6,5 cơn trên Biển Đông, đổ bộ vào đất liền 2,9 cơn.
Các đợt mưa vừa, mưa to có khả năng xuất hiện ở Bắc Bộ, Bắc Trung Bộ, cao nguyên Trung Bộ và Nam Bộ trong thời kỳ dự báo, nguy cơ gia tăng các hiện tượng thời tiết cực đoan như dông, lốc, sét, mưa đá và gió giật mạnh trên cả nước.
