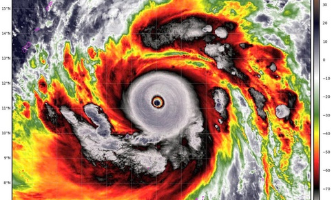
mắt bão

Sinlaku là một trong 3 cơn bão mạnh nhất kể từ năm 1977

Sinlaku là một trong 3 cơn bão mạnh nhất kể từ năm 1977

Xã hội - 13/04/2026 06:42

SKĐS - Các điều kiện môi trường trên vùng biển thuận lợi (nhiệt độ mặt nước biển cao, thông lượng nhiệt từ đại dương dồi dào, độ đứt gió tầng cao yếu) tạo điều kiện để bão tiếp tục mạnh lên nhanh trong 24 giờ tới.